0
Skip to Content
Services We Provide
Sample Projects
About Yoder Surveying
FAQ
Contact
Open Menu
Close Menu
Services We Provide
Sample Projects
About Yoder Surveying
FAQ
Contact
Open Menu
Close Menu
Services We Provide
Sample Projects
About Yoder Surveying
FAQ
Contact
Previous
Previous
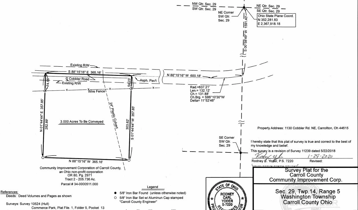
Municipal Survey
Next
Next
Bridge Project Base Map