0
Skip to Content
Yoder Surveying
Services We Provide
Sample Projects
About Yoder Surveying
FAQ
Contact
Yoder Surveying
Services We Provide
Sample Projects
About Yoder Surveying
FAQ
Contact
Services We Provide
Sample Projects
About Yoder Surveying
FAQ
Contact
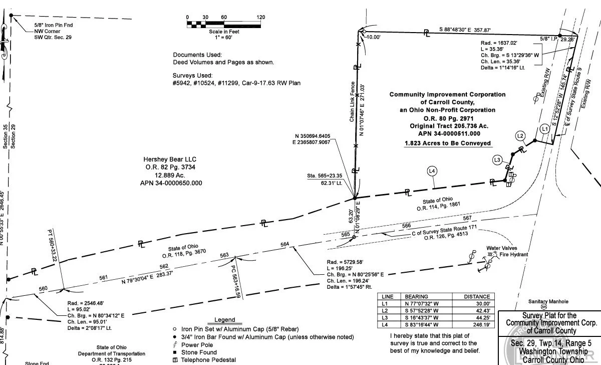
Government Property Survey

Government Property Survey

Residential Survey

Residential Survey

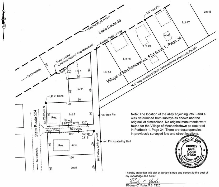
Municipal Survey

Municipal Survey

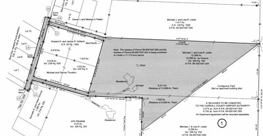
Lot Split Survey

Lot Split Survey

Bridge Project Base Map

Bridge Project Base Map

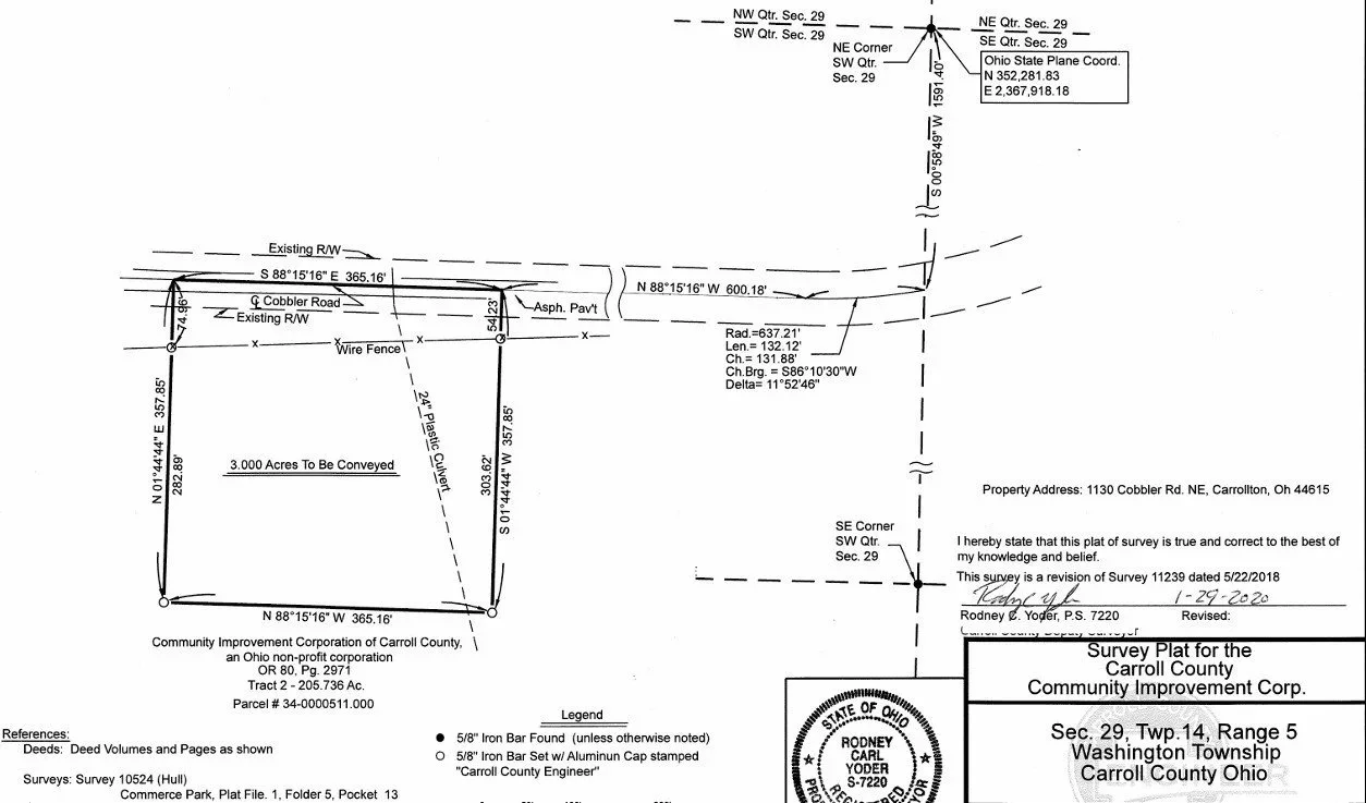
Lot Split Survey

Lot Split Survey